CityPerle ASW

6 moderne Wohnungen in Schwabach-Innenstadtnähe

Alle Wohnungen
verkauft!

previous arrow
next arrow

Stadtrand-Oase

Verkauft 100%

ZWEIFAMILIENHAUS IN NÜRNBERG-WEIHERHAUS
Leben am grünen Rand Nürnbergs

Adresse
An der Schwedenschanze 47, Nürnberg-Weiherhaus

> provisionsfrei
> klimafreundlich (KFW 40)
> hochwertig
> zeitlos

Exposé

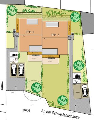
Das Zweifamilienhaus
Wir errichten auf einem schönen Grundstück in Nürnberg-Weiherhaus, ein kleines, aber feines Zweifamilienhaus.
Die moderne, zeitlose Architektur besticht durch klare Formen und fügt sich in das gewachsene Umfeld ein. Breite Gauben und zum Teil bodentiefe Fenster runden das Erscheinungsbild ab. Große Terrassen mit Gärten sowie großzügige Dachterrassen laden zum Relaxen ein.
Die Grundrisse sind durchdacht und funktionieren auch im Alltag. Die Erdgeschosswohnungen verfügen über Hobbyräume, die z.B. als Arbeitszimmer verwendet werden können. Bei den Wohnungen im Dachgeschoss ist zusätzlich der Spitzboden über Treppen verbunden.
Eine hochwertige Ausstattung mit Fußbodenheizung, Markensanitärgenständen, großformatigen Fliesen u. Parkettböden ist selbstverständlich.
Auch auf das Thema Nachhaltigkeit legen wir Wert. Das Gebäude wird als klimafreundlicher Neubau errichtet, eine umweltfreundliche Wärmepumpenheizung macht Sie von den Energiepreisen unabhängiger.

Hier können Sie sich wohlfühlen…

Die Highlights
> Nur 2 Wohnungen (3- u. 4 Zimmer)
   teilweise mit Hobbyraum u. Spitzboden
> Wohnflächen von 81,54 bis 103,61 m2
> Carports u. Lademöglichkeit für Elektroautos
> Klimafreundlicher Neubau (Green Living)
   möglicher, vergünstigter KFW-Kredit
> KFW 40 Standard mit Fußbodenheizung
> Nachhaltige Wärmepumpenheizung
> 5% degressive Abschreibung lt. Beschluss
   Bundesregierung: für 6 Jahre bei Vermietung
> Große Terrassen mit Gärten
> Großzügige Dachterrassen
> Küchen auch offen gestaltbar
> Videosprechanlage

Stellplätze
Zu jeder Wohnung kann ein Carport erworben werden.

Gartenanteile
Jede Wohnung im Erdgeschoss hat eine zugeordnete
Gartenfläche als Sondernutzungsrecht.

Keller
Je Einheit ist das Sondernutzungsrecht an einem
Kellerabteil enthalten.

Die Lage
Der Stadtteil Weiherhaus zählt schon seit Jahren zu den besten Lagen Nürnbergs. Hier befindet sich das idyllische und doch urbane Grundstück in einer ruhigen Seitenstraße.
Die Infrastruktur ist perfekt. Der öffentliche Nahverkehr mit Bus ist fußläufig erreichbar, ebenso ist ein Autobahnanschluss in der Nähe. In der Nachbarschaft finden Sie zahlreiche Geschäfte. Wenn es etwas mehr sein soll, ist die Nürnberger oder Schwabacher Innenstadt nicht weit.
Für Familien liegen Schulen und Kindergärten in der Umgebung. Und der nahegelegene Reichswald und der Rhein-Main-Donau-Kanal bieten ausgezeichnete Freizeitmöglichkeiten.

Ruhiges Wohnen und doch alles erreichbar…

Verkehr
Bus: zu Fuß ca. 2 min
Autobahn: ca. 5 min

Einkaufen
Innenstadt Nürnberg: ca. 15 min
Innenstadt Schwabach: ca. 12 min

Freizeit
Reichswald: zu Fuß ca. 2 min
Main-Donau-Kanal: zu Fuß ca. 5 min

Die Wohnungen
Verfügbare Wohnungen sehen Sie beim Mouseover und können Sie vergrößern.

Aktuelle Bilder

LH Plan + Bau GmbH & Co. KG

Dietersdorfer Str. 10
91126 Schwabach
tel. 0911 6 49 72 33
fax 0911 6 49 74 83
info@lh-planbau.de
www.lh-planbau.de